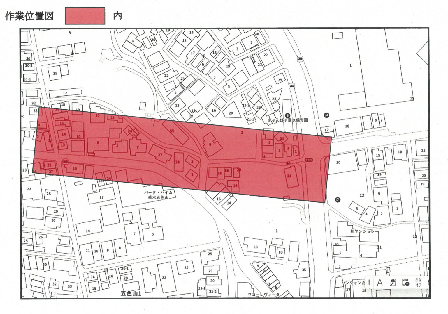
舞子公園福田川線の計画廃止を求める要望
垂水駅北西部にある3本の都市計画道路(歌敷山線、五色山線、舞子公園福田川線)について、神戸市当局より「廃止」の意向が示されたところ、「霞ヶ丘地域まちづくり推進会」より、「舞子公園福田川線」については存続・実現してほしいとの要望書が、2021年9月に当局宛提出されました。
しかし、その都市計画道路の東端に位置する我々仲田1丁目、霞ヶ丘1丁目、五色山1丁目等住民は、霞ヶ丘地域まちづくり推進会での議論を十分に知らされておらず、2023年に入り、突如当局の測量と立ち退きに関するアンケートが配布され、住民は大変驚愕し、とまどいました。住民は半世紀以上もこの土地に暮らし、垂水の歴史、特に垂水駅前の時代の流れを住民として見守り、長い間まちづくりにも参画してきたのに、突然出て行けと迫られたからです。
仲田・霞ヶ丘住民による都市計画道路「舞子公園福田川線」の廃案を求める要望活動が起こり、146筆の住民署名を垂水区長、垂水建設事務所長、都市局担当課長に手交しました。昭和32年に成立したものの、70年以上眠っていた道路計画が数年前に急遽よみがえり、立ち退きを迫るなど人権侵害です。私からも当局に対し、丁寧な対応を強く要請させていただきました。
しかし、その都市計画道路の東端に位置する我々仲田1丁目、霞ヶ丘1丁目、五色山1丁目等住民は、霞ヶ丘地域まちづくり推進会での議論を十分に知らされておらず、2023年に入り、突如当局の測量と立ち退きに関するアンケートが配布され、住民は大変驚愕し、とまどいました。住民は半世紀以上もこの土地に暮らし、垂水の歴史、特に垂水駅前の時代の流れを住民として見守り、長い間まちづくりにも参画してきたのに、突然出て行けと迫られたからです。
仲田・霞ヶ丘住民による都市計画道路「舞子公園福田川線」の廃案を求める要望活動が起こり、146筆の住民署名を垂水区長、垂水建設事務所長、都市局担当課長に手交しました。昭和32年に成立したものの、70年以上眠っていた道路計画が数年前に急遽よみがえり、立ち退きを迫るなど人権侵害です。私からも当局に対し、丁寧な対応を強く要請させていただきました。



